

Castillejo, Guatire Edo. Miranda   Zona postal 1221

  • Seguir
  • Seguir
  • Seguir
  • Seguir
  • Inicio
  • Contácto
  • Quiénes Somos
  • Programación
  • Artistas
  • Noticias & Blog
    • Farándula
    • Internacionales
    • Música
    • Deportes

Lavrov: Rusia necesita garantías de que la reunión entre Putin y Trump dará resultados

por viaAdmin | Oct 29, 2025 | Internacionales

Rusia necesita garantías de que la cumbre entre el presidente ruso, Vladímir Putin, y su homólogo estadounidense, Donald Trump, aportará resultados sustantivos, señaló el canciller ruso, Serguéi Lavrov. Moscú espera que Trump quiera una paz sostenible en Ucrania, y no...

Francia está preparando el despliegue de un contingente militar en Ucrania, reporta la Inteligencia rusa

por viaAdmin | Oct 29, 2025 | Internacionales

El Estado Mayor de las FFAA de Francia está preparando el despliegue de un contingente militar de hasta 2.000 efectivos en Ucrania para ayudar a Kiev, reportan desde el Servicio de Inteligencia Exterior de Rusia (SVR, según sus siglas en ruso). Bajo la dirección del...

Netanyahu ordena al ejército de Israel reanudar de inmediato los ataques en Gaza

por viaAdmin | Oct 29, 2025 | Internacionales

Netanyahu hizo el anuncio poco después de que Israel dijera que Hamás había abierto fuego contra las fuerzas de las FDI en el sur de Gaza. El primer ministro israelí, Benjamín Netanyahu, ordenó este martes al Ejército que llevara a cabo de inmediato «ataques...

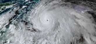
Huracán Melissa baja a categoría 3 mientras se acerca a Cuba

por viaAdmin | Oct 29, 2025 | Internacionales

El ojo de Melissa continúa en la mañana de este miércoles su travesía por el este de Cuba, donde tocó tierra en horas de la madrugada como un «extremadamente peligroso» huracán de categoría 3, con vientos de 120 millas por hora. Las fuertes lluvias provocadas por...

EE.UU. y Japón proclaman «nueva edad dorada» y firman un acuerdo estratégico

por viaAdmin | Oct 29, 2025 | Internacionales

El presidente de Estados Unidos, Donald Trump, y la primera ministra de Japón, Sanae Takaichi, firmaron este martes un acuerdo sobre el camino hacia una «nueva edad dorada» para la alianza entre ambos países. El acuerdo ayudará a ambos países a fortalecer la seguridad...
« Entradas más antiguas

Entradas recientes

  • El trabajo utilizó ratones para demostrar que reducir ciertas proteínas en la sangre puede desacelerar el crecimiento de los tumores (Imagen Ilustrativa Infobae) Para responder la pregunta, los investigadores usaron ratones de la especie Mus musculus con cáncer de páncreas y aplicaron dos técnicas modernas para bajar el fibrinógeno: oligonucleótidos antisentido y nanopartículas con ARN interferente. Ambas estrategias ya se están probando en otras enfermedades y permiten bajar de forma precisa ciertos componentes de la sangre. El objetivo fue ver si el fibrinógeno ayuda al tumor a crecer y a expandirse o si solo aparece por la reacción natural del cuerpo.
  • El trabajo utilizó ratones para demostrar que reducir ciertas proteínas en la sangre puede desacelerar el crecimiento de los tumores (Imagen Ilustrativa Infobae) Para responder la pregunta, los investigadores usaron ratones de la especie Mus musculus con cáncer de páncreas y aplicaron dos técnicas modernas para bajar el fibrinógeno: oligonucleótidos antisentido y nanopartículas con ARN interferente. Ambas estrategias ya se están probando en otras enfermedades y permiten bajar de forma precisa ciertos componentes de la sangre. El objetivo fue ver si el fibrinógeno ayuda al tumor a crecer y a expandirse o si solo aparece por la reacción natural del cuerpo.
  • Descubren una proteína sanguínea que podría frenar el avance del cáncer de páncreas
  • Muere a los 87 años Alfredo Bryce Echenique, el escritor que retrató con acidez a la élite de Perú en «Un mundo para Julius»
  • Sylvester Stallone será productor ejecutivo de nueva película sobre John Rambo

Comentarios recientes

No hay comentarios que mostrar.

¿Te gusta nuestra programación?

Puedes solicitar música a través de nuestros números de contacto o realizar un reporte vial

¿Quieres publicidad para tu negocio?

Déjanos tu información en la sección de contacto

Contácto

Vía 97.7 FM, contáctanos a traves de nuestro número o correo electrónico

LOCAL:  +58(0212) 347.19.61

MÓVIL: +58 (424)6-977-977

Correo Electrónico:

[email protected]

© Via 97.7 FM | 2025